Yatırımlık Fırsat Gayrimenkulleri Kaçırmayın!
tapucom svg logo

tapucom svg logo

KİRALIK- Silivri Fatih Mahallesi Emin Caddesi'ne Cepheli 18 m2 Dükkan

Sahibinden 18m2

Özellikler

Tapu no:
19885
Satıcı:
Sahibinden
Metre Kare:
18m2
Ada:
146
Parsel:
51
Tapu Tipi:
Kat İrtifaklı
Hisse Oranı:
Tam
Bina Yaşı:
39
Isıtma Sistemi:
Kombili
Binadaki Toplam Kat Sayısı:
6
İskan Tarihi:
31/12/1997
Ruhsat Tarihi:
29/12/1997
Kullanım Durumu:
Boş
Fiziksel Durum:
İyi
Bağımsız Bölüm:
3
Taşınmazın Bulunduğu Kat:
0

Ödeme Detayları

KDV:
% 0
Tapu Harcı:
Alıcı öder
Teminat Bedeli:
% 0
İlgilendiğiniz bu tapuyla ilgili tüm sorularınız için sizi arayalım.
Dilerseniz 0 212 706 56 49 numaralı telefondan da bize ulaşabilirsiniz

Adres

Fatih Mahallesi, Emin Caddesi, Binay Sitesi, A Blok, No: 4E (B.B.No:3) Silivri / İSTANBUL

Açıklama

SİLİVRİ'DE SİTE İÇERİSİNDE EMİN CADDESİ'NE CEPHELİ 18 m2 DÜKKAN 

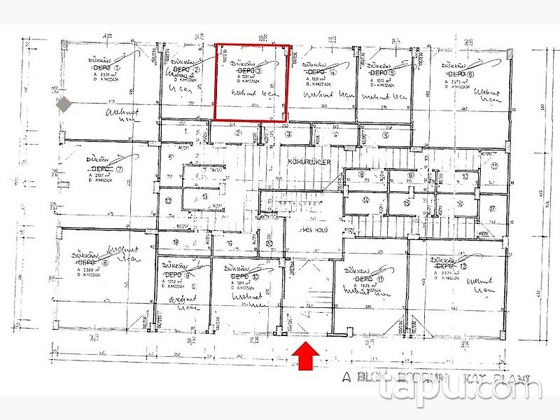
Özellikler: A Blok 3 bağımsız bölüm numaralı "İş Yeri" nitelikli taşınmaz; ana gayrimenkulün bodrum katında, bina girişine göre arka orta tarafta yer almakta olup kuzeydoğu cephelidir.

  • Dükkan, kat irtifakına esas olup; tek hacim dükkan alanıdır.
  • Alüminyum doğramalı, yerlerde koyu renk seramik kaplı, duvarlar gri boyalıdır. Çok temiz haldedir.
  • Emin Caddesi'ne yaklaşık 3,5 m cephesi bulunmaktadır.
  • Özel araçlar ve toplu taşıma araçları ile kolaylıkla ulaşım sağlanabilmektedir.
  • Özel araçlar ve toplu taşıma araçları ile kolaylıkla ulaşım sağlanabilmektedir.
  • Dükkan Silivri'nin tarihi hükümet konağının olduğu meydana 250 m uzaklıktadır.
  • Depo olarak kullanıma uygundur.
  • İskanlı bina olması sebebi ile her iş için ruhsat alınabilir.
NOT: Kira aylık 1.000 TL'dir. 2 Kira bedeli Depozito alınacaktır. 1 AYLIK KİRA+KDV Hizmet Bedeli Alınacaktır.

Konum

Denize Sıfır
Deniz Ulaşımına Yakın
Toplu Ulaşıma Yakın
Yola Cepheli
Köy Merkezine Yakın
Cadde Cepheli
Metroya Yakın
Caddeye Yakın
Hastaneye Yakın
Ulaşımı Kolay
Merkezi Konumlu
Sosyal Alanlara Yakın
Ticari Alanlara Yakın
Alışveriş Merkezine Yakın
Üniversiteye Yakın
Metrobüse Yakın
Tümünü Göster

Dış Özellikler

Site İçerisinde
Bahçeli
Yük Asansörlü
Asansörlü
Güvenlikli
Su Arıtmalı
Elektrik Altyapılı
Yeni Binada
Açık Otoparklı
Kapalı Otoparklı
Hidrofor
Spor Alanı
Yangın Merdiveni
Açık Yüzme Havuzu
Kapalı Yüzme Havuzu
Bakımlı Binada
Isı Yalıtımı
Apartman Görevlisi
Müstakil Havuzlu
Güneş Enerjisi
Jeneratörlü
Engelliye Uygun
Tümünü Göster

Tapu.com'dan Ticari Gayrimenkul Satın Alınırken Sık Sorulan Sorular

Gayrimenkulle ilgili merak ettiğiniz tüm sorular için uzman destek ekibimizle iletişime geçebilirsiniz. Sayfa içerisinde yer alan “Sizi Arayalım” formunu doldurduğunuz takdirde çağrı merkezimiz size en kısa sürede dönüş sağlar. Dilerseniz 0850 532 82 78 nolu telefonu arayarak ekibimizle görüşme gerçekleştirebilirsiniz.

Sitemize üye olarak ilgilendiğiniz tapuları favorinize ekleyebilirsiniz. Favorilere eklediğiniz tapular hakkında tüm haberler, değişiklikler ve açık artırma tarihlerinde oluşacak gelişmeler size SMS ve e-mail yoluyla iletilir.

İlgili mülkü ziyaret etmek için “Sizi Arayalım” formunu doldurmanız gerekmektedir. Çağrı merkezimiz size en kısa sürede dönüş sağlayarak uygun tarihler için randevunuzu oluşturur.

Üye girişi yaptıktan sonra ilgilendiğiniz gayrimenkulün sayfasında yer alan “Teklif Ver” ya da “Pazarlığa Başla” butonuna tıkladığınızda teklif verme sayfasına yönlendirilirsiniz. Bu sayfada teklifinizi girin, son olarak “Teklifi Gönder” butonuna tıklayın. Verdiğiniz teklif satıcı tarafından değerlendirilerek onaylanır ya da reddedilir. Satıcının dönüşü tarafınıza bildirilir.

Tapu.com ciddi alıcılar ile satıcıları bir araya getirmek amacıyla teklif verme sürecinde “Hizmet Bedeli” ödemesi talep eder. Ödeme ekranından kredi kartı, banka kartı bilgilerinizi girerek veya EFT ile hizmet bedelinizi ödeyerek teklifinizi verebilirsiniz.

Teklif verildikten sonra, teklif tapu.com üzerinden satıcıya iletilir. Satıcı işleme onay verdikten sonra tapu.com siz ve satıcı arasında iletişimi sağlayarak işlemlerin sonuçlanmasına yardımcı olur. Bu aşamada gereken evrakların ve varsa sözleşmelerin imzalanması gerekir. Bu evraklarla birlikte tapu dairesine gidilerek tapu devir işlemleri gerçekleştirilir. Devir sürecinin her adımında tapu.com yetkilisi size yardımcı olmak üzere hazır bulunur. Satıcı teklifinizi reddettiğinde; teklif verdiğiniz mülkte platform kullanım bedeli varsa bu tutar hizmet bedelinizden düşülerek, yoksa hizmet bedelinizin tamamı tarafınıza iade edilir. Dilerseniz iade gerçekleşene dek yeniden teklif verebilirsiniz.Satıcı teklifinizi reddettiğinde; teklif verdiğiniz mülkte platform kullanım bedeli varsa bu tutar hizmet bedelinizden düşülerek, yoksa hizmet bedelinizin tamamı tarafınıza iade edilir. Dilerseniz iade gerçekleşene dek yeniden teklif verebilirsiniz.

Teklifiniz onayladığı takdirde ödemeyi tapu devri sırasında direkt satıcıya ödersiniz. Tapu.com hizmet bedeli dışında herhangi bir ödeme sürecine dahil olmaz.

Teklifiniz onaylanmazsa veya açık artırmayı kazanamazsanız hizmet bedeliniz iade edilir. Verilen teklif onaylandıktan sonra satın almaktan vazgeçen katılımcıya hizmet bedeli iade edilmemektedir.